Zwei Tauchgänge vor der Glühweinparty
Zwei Tauchgänge vor der Glühweinparty und damit heißt es: Leinen los für unsere täglichen Tauchausfahrten im Dezember 2025!
Unsere Tauchguides berichten an dieser Stelle jeden Tag von den Sichtungen der kleinen und auch großen Schätze, die unser schönes Rotes Meer zu bieten hat. Außerdem erzählen sie über all das, was sie auf dem Meer und unter Wasser erlebt haben. Auch über die wundervollen Erlebnisse auf unseren mehrtägigen Minisafaris halten sie euch stets auf dem Laufenden. Egal, ob Early Morning Dive oder Nachttauchgang – ihr könnt es mitverfolgen. Auch Wracktauchgänge in Abu Nuhas oder an der Thistlegorm stehen auf dem Programm. Ob im Norden oder Süden, ihr seid mit an Bord!
Und das Beste? Unsere Berichte über die Tauchausfahrten unserer Boote erscheinen täglich! 365 Tage im Jahr könnt ihr mit uns zusammen auf die Reise gehen und im Roten Meer abtauchen! Seid dabei und lasst euch immer wieder aufs Neue verzaubern. Willkommen zu unseren täglichen Tauchausfahrten!
Lufttemperatur
![]() Janina |
![]() Hamed |
![]() Maria |
![]() Tobias |
Abu Galambo
- Tauchplatz 1: Shaab Eshta
- Tauchplatz 2: Shaab Tiffany
Weihnachtstauchabenteuer im Roten Meer: Shaab Estha und Shaab Tiffany
Am Heiligen Abend, als die Welt oben in festliches Licht getaucht war, zogen wir Taucher los, um unser eigenes Weihnachtswunder unter Wasser zu erleben. Wie die Hirten in der Bibel, die dem Stern folgten, glitten wir hinab zu Shaab Estha, einem flachen Riffplateau vor Hurghada, das wie eine unterseeische Krippe dalag. Der Einstieg war ruhig, das Wasser klar wie Diamanten – 26 Grad warm, Sicht bis 15 Meter. Hier, inmitten der Korallenberge, erwarteten uns die ersten Boten der Meeresweihnachten: Schwärme von Beilbauchfischen, die in ihren schillernden Rüstungen umherzogen, und Füsiliere, die wie tanzende Engel durchs Blau wirbelten. Plötzlich ein Highlight: Ein Blaupunktrochen segelte über den Sandboden, sein blauer Fleck leuchtete wie der Stern von Bethlehem. Wir hielten den Atem an, als er nah vorbeischwamm – ein friedliches Wesen, das uns an die Sanftmut der Heiligen Nacht erinnerte. Die Strömung war mild, der Tauchgang entspannt bei 12 Metern Tiefe. Anschließend stiegen wir auf, erfüllt von diesem ersten Wunder.

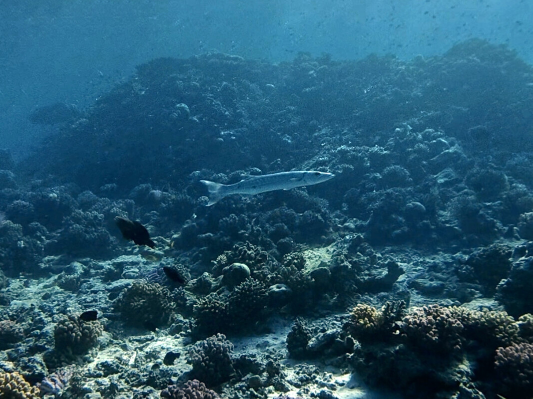
Der zweite Gang führte uns zu Shaab Tiffany, einem flachen Plateau mit sanften Wänden und Pinakeln, das wie eine himmlische Kathedrale wirkte. Bei entspannter Tiefe bis 12 Meter entdeckten wir Nemos – die putzigen Clownfische in ihren Anemonen-Heimen –, die neugierig aus ihren „Ställen“ lugten. Feuerfische mit ihren giftigen Stacheln glühten wie Weihnachtsbaumkerzen in den Rissen, und Skorpionfische lauerten tarnungskünstlerisch in Gruppen auf dem Grund, Wächter der Tiefe mit ihren bedrohlich stillen Posen. Plötzlich ein weiteres Wunder: Sechs Barrakudas, silbern und geschmeidig wie weihnachtliche Engel mit scharfen Flügeln, zogen in präziser Formation vorbei, ihre Augen funkelnd wie Lichterketten im Dunkel. Nicht weit davon huschte ein Oktopus aus seiner Höhle, wechselte Farben wie ein verzauberter Nikolausmantel – von Rot zu Grün – und winkte mit seinen Armen, als wollte er uns begrüßen. Die Korallen blühten in Rot- und Grüntönen, als hätten sie sich für die Feiertage geschmückt. Kein Hai, kein Stress – nur pure Magie, als ob das Rote Meer uns eine eigene Krippe mit seinen Geschöpfen schenkte.

Zwei Tauchgänge, zwei Wunder: Shaab Estha mit ihrer sanften Weite, Shaab Tiffany mit ihrer flachen Pracht. Oben warteten Glühwein und Lichter, aber unten im Meer fühlten wir uns den Sternen näher als je zuvor. Frohe Weihnachten aus der Unterwasserwelt! Somit ab nach Shaab Stella und dem warmen Glühwein!
Liebe Grüße
Janina, Maria, Hamed und Tobi
![]() Jasmin (JJ) |
|
Abu Musa
- Tauchplatz 1: Fandira -> Shaab Dorfa
- Tauchplatz 2: Shaab Abu Ramada Ost
Auf der Suche nach dem Weihnachtsmann
Eine Unterwasserkolumne von Lady Whistlejay
Es ist mir eine außerordentliche Freude, verehrte Leserschaft, von den jüngsten Ereignissen des heiligen Morgens zu berichten – jenem Tage, an dem anständige Menschen Tannenbäume schlagen, während andere (deutlich stilvollere) Gesellschaft sich aufmacht, um den Weihnachtsmann höchstpersönlich unter der Meeresoberfläche aufzuspüren. Unser auserlesener Kreis bestieg an diesem Tage keinen gewöhnlichen Schlitten, oh nein – es war ein zauberhaft blauer Meeresschlitten, der uns forttrug, hinaus in die salzige Kälte und hinein in ein Abenteuer von bemerkenswerter Festlichkeit.
Fandira – wo Gerüchte beginnen
Kaum hatten wir uns in das kühle Nass begeben, offenbarte sich direkt unter uns ein stattlicher Adlerrochen, der offenbar bestens informiert schien. Der Weihnachtsmann jedoch? Nicht zugegen. Mit einem wissenden Flügelschlag ließ der Rochen verlauten, Seine Bärtigkeit sei zuletzt im Korallengarten gesichtet worden. Dort trafen wir auf die eine oder andere Muräne, doch keine davon trug Mütze oder Bart. Erst als sich links von uns etwas Majestätisches regte, wendete sich das Blatt: Eine gewaltige Schildkröte, eskortiert von zwei Schiffshaltern und bewacht von einem Adlerrochen, gewährte uns schließlich ihre Aufmerksamkeit. Wie uns später unsere Schnorchler – jene wackeren Seelen an der Oberfläche – berichteten, stand Frau Schildi unter strengem Schutz. Mit einer bedächtigen Kopfbewegung deutete sie schließlich auf den Ausgang des Gartens. Dort, so ließ sie verlauten, solle man weiter nach dem Verschollenen suchen. Zwei Federschwanzstechrochen bestätigten diese Richtung und rieten zur Rückkehr an Bord. Gesagt, getan – jedoch nicht ohne eine herzliche Begrüßung durch die Fledermausfische, die bereits unter unserem Schlitten warteten, als hätten sie auf genau diesen Auftritt geprobt.
.png)
Nach dem Mahle – das Aquarium ruft
Gestärkt durch ein vortreffliches Mittagsmahl folgten wir der nächsten Spur: dem Aquarium. Alle Hinweise deuteten darauf hin, dass der Weihnachtsmann sich dort verborgen halte. Unser Schlitten nahm Kurs auf die Doppelblöcke von Shaab Abu Ramada. Doch, oh Schreck – die Sicht war unerquicklich. Man musste sich also auf das schärfste Beobachten verlegen. Einige Tunas und Makrelen führten uns schließlich zum Riff, wo uns zwei Drachenköpfe empfingen und weiter zu den aufgeregten Meerbarben geleiteten. Diese wiederum verwiesen uns an eine höchst verdächtige Informantin: eine Pyjama-Nacktschnecke am Snuppi-Block. Hier trat Alex auf den Plan. Gerade hatte er seinen 500. Tauchgang vollendet und nutzte den 501., um – mit bemerkenswerter Autorität – das Verhör zu leiten. Unter ausgiebiger Befragung gestand die Schnecke schließlich: Der Weihnachtsmann sei an der Basis von James & Mac anzutreffen – und habe dort bereits mehr Glühwein konsumiert, als es einem Herrn seines Alters zuträglich sei. Diese Enthüllung veranlasste unsere Gesellschaft, selbst eine freischwimmende Muräne und eine stattliche Riesenmakrele zu ignorieren – ein Akt größter Selbstdisziplin. Zurück an Bord erwartete uns noch ein Kuchen, um die Tauchermeilensteine des 500. und 501. Tauchgangs gebührend zu zelebrieren und die nötige Kraft für die letzte Etappe zu sammeln. Denn, meine Lieben: Ein neuer Weihnachtsmann musste bestimmt werden.

Finale Enthüllung
So ging es schließlich weiter nach Shaab Stella – dorthin, wo Glühwein fließt, Lachen erklingt und Legenden geboren werden.
Lady Whistlejays Weihnachtsnotiz
Möge man sich erinnern: Weihnachten ist ein Fest der Liebe und der Nächstenliebe. Ein freundliches Wort, ein ehrliches Lächeln – sie wiegen oft schwerer als jedes Geschenk.
Bleiben Sie aufmerksam, bleiben Sie freundlich und vor allem: Bleiben Sie neugierig.
Ihre ergebene Beobachterin der Tiefen
Lady Whistlejay
![]() Jo |
![]() Mo Bakr |
![]() MoMo |
Bahlul
- Tauchplatz 1: Giftun Ham Ham
- Tauchplatz 2: Shaab Sabina
Bahlul auf verdrehter Weihnachtstour
Klatsch, marsch und Abfahrt, heute mit der Bahlul und wir starteten unseren Tauchtag bei Giftun Ham Ham. Die Strömung hatte allerdings ihren eigenen Kopf und kam diesmal von Süden, unser ursprünglicher Plan ging damit nicht ganz auf. Kurzerhand entschieden wir uns für ein kleines Bauch-Beine-Po-Training. Anstatt zur Leine, machten wir einen Drift Pick Up, was den Tauchgang trotzdem machbar und abwechslungsreich gestaltet. Auf die Gorgonien war wie immer Verlass und sie boten eine tolle Kulisse entlang der Riffkante. Zwischen ihnen zeigten sich gleich drei Langnasenbüschelbarsche, ein richtig schöner Anblick. Zusätzlich ließ sich noch ein Napoleon-Lippfisch blicken, der gemächlich an uns vorbeizog und dem Tauchgang ein echtes Highlight bescherte. Trotz ungeplanter Strömung ein sehr schöner erster Tauchgang mit tollen Begegnungen – Giftun Ham Ham weiß einfach zu überzeugen. Die Freude war groß, als wir dann vom Zodiac eingesammelt wurden und noch einen schönen „Ritt“ Richtung Bahlul hatten, wo wir sehr gut bekocht wurden. Natürlich darf die Oberflächenpause nicht fehlen und wird genutzt.

Der zweite Tauchgang führte uns nach Shaab Sabina und wurde als Drift zur Leine durchgeführt. Schon in der Lagune bekamen wir tolle Begleitung: Ein Napoleon-Lippfisch schwamm ein Stück mit uns mit, fast so, als wollte er uns persönlich verabschieden. Kurz darauf wurden wir jedoch abgelenkt, ein Adlerrochen zog elegant an uns vorbei und sorgte für einen echten Wow-Moment. Während wir weiter über das Riffdach trieben, schloss sich uns eine Barrakuda-Schule an, die uns eine ganze Weile begleitete und dem Tauchgang eine richtig dynamische Atmosphäre verlieh. Ein wunderschöner, abwechslungsreicher Drift mit tollen Begegnungen, der ruhig an der Leine endete, Shaab Sabina war heute eine gute Wahl. Ein spannender Weihnachtstauchtag, mit super Stimmung. Jetzt geht es aber direkt Richtung Shaab Stella, die traditionelle Glühweinparty wartet! Bis morgen in alter Frische Jo, Mo Baker, Momo & Daniel!
Unsere Berichte über die Tauchausfahrten unserer Boote erscheinen täglich! 365 Tage im Jahr könnt ihr mit uns zusammen auf die Reise gehen und im Roten Meer abtauchen! Kommt an Bord und lasst euch immer wieder aufs Neue verzaubern. Auch morgen könnt ihr wieder dabei sein und die Erlebnisse unserer Tauchguides mitverfolgen.
Zwei Tauchgänge vor der Glühweinparty, Ägypten, Rotes Meer, Hurghada, Deutsche Tauchschule, Tauchen, Tauchkurse, Red Sea Partner, Red Sea Shop – Fotonachweise: James & Mac, mit freundlicher Genehmigung von unseren Fotografen: Sven Kahlbrock, salzeproductions, Thorsten Rieck, Olaf Mayr, Katharina Tretter, JJ








